Часть 4.
Морская часть нашего путешествия началась. Утром следующего дня наша "тарахтелка" отдала концы и двинулась в сторону о. Комодо.
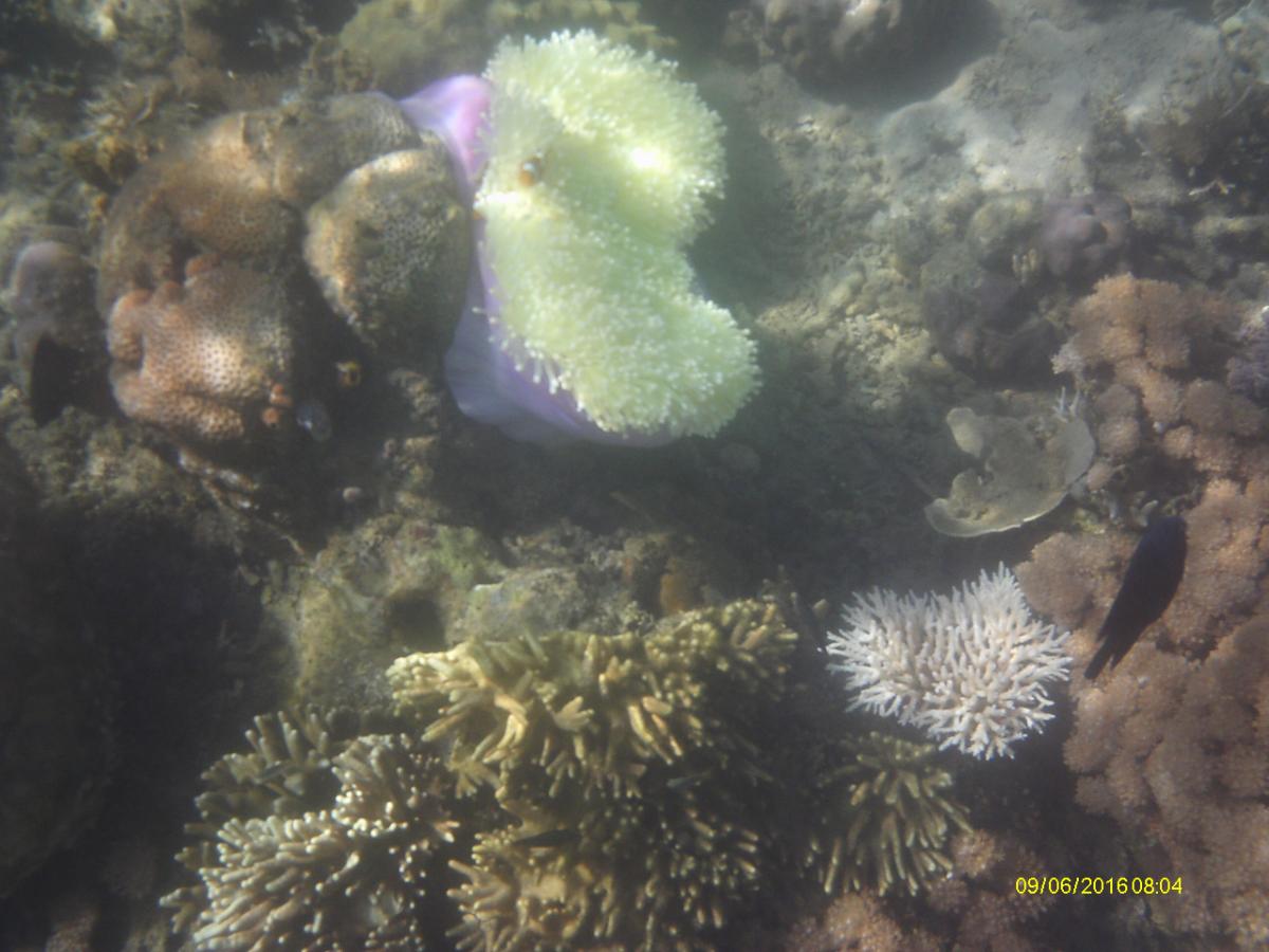
Мы наслаждались купанием, снорклингом и едой, которую нам весьма искусно приготовил кок.
Для очередного купания нас подвезли к пляжу "розовые пески". Цвет песка обусловлен розовым коралловым песком.
Поскольку подойти на катере к пляжу не давали рифы, там дежурила лодка местных вымогателей, которые за пару долларов были готовы подвезти вас 50 метров до берега...Мы воспользовались их услугами только потому, что нужно было взять с собой фотоаппарат.
По пути сноркали и плавали с мантами. Фото выложу позже, так как они на подводном фотоаппарате...
К вечеру прибыли к острову летающих лисиц возле о. Комодо, но заснять их не удалось...Нам позировал орел - рыболов...
После ужина мы любовались очень красивым закатом

У же совсем в сумерках небо закрыла туча летающих лисиц, поднявшихся с ближайшего острова и полетевших куда-то кормиться...
Сытые и уставшие, вдоволь налюбовавшись тропическим звездным небом, мы завалились спать.
Среди ночи мы проснулись от шума тропического шквала, который налетел совсем внезапно - суденышко бросало на якоре, ливень стоял стеной и заливал палубу и пол нашей каюты...Минут через 10-15 все улеглось так же внезапно, как и началось...И снова мы увидели звездное небо...
Еще поразило одно красивейшее явление- когда ночью с палубы льешь ночью воду в океан

, то на поверхности воды начинается голубое свечение и сверкающие капли разлетаются в разные стороны создавая феерическое зрелище кипящего голубого огня....
Встали рано, наступающем неверном свете зарождающегося утра вернулись летающие лисицы....
Дальше про драконов из комода....