• Из-за закрытия китайского заведения, где мы раньше втречались, до того, как найдем, что-то подходящее для постоянных встреч, договариваемся о ближайшей встрече, на каждый первый четверг месяца, здесь: Кто в четверг к китайцам???

Вобла-2022. Рыболовно-охотничья база ХУТОРОК. Астрахань.

  • Автор темы Автор темы nykin
  • Дата начала Дата начала
Автор темы

nykin

Участник
С нами с
02/02/17
Постов
465
Оценка
249
Живу в:
РФ
Для знакомых
Владимир
Охочусь с
1967
Оружие
Есть
Собака(ки)
РОС
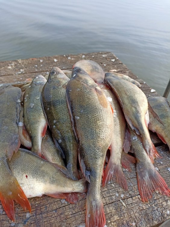
Вобла еще "теплая"..только приехал с Астрахани. Как всегда уйма рыбаков, но на базе толкучки не было. Воблы тьма, но похуже чем в прошлый год. Приятного просмотра.
Разместил ссылки на ВК и Дзен.
https://vk.com/video/@id178092138?z=video178092138_456239308/pl_178092138_-2
https://zen.yandex.ru/video/watch/6263a7ab9e304340866c3f88
И немного фоток с рыбалки
IMG-20220416-WA0009.thumb.jpg.40dd27357b54509215a080b5c64d6d09.jpg

IMG_20220416_152005.thumb.jpg.33ff38c40202ce91a9a923ae404f732b.jpg

IMG_20220416_171139.thumb.jpg.b639b2e83eb719b1cb013dd6bd578052.jpg

IMG_20220416_153213.jpg.784c5e6cf5414fe64c4abcc028cdb476.jpg

IMG_20220416_100935.thumb.jpg.f500597f595083a8ffab675bc9ed823d.jpg
 
Да, хороша воблочка!
 
Назад
Сверху Снизу